Hibbard Inshore’s 30 years of ROV and engineering experience has made them an industry leader in underwater inspection, construction, marine survey, and consulting. With involvement in a number of diverse industries, Hibbard Inshore has gained knowledge and experience with a wide variety of processes and project needs. From these experiences, Hibbard Inshore has been able to develop systems and techniques that address each industry’s unique concerns while focusing on project safety and cost containment.
- ADCI Certified Pilots
- Pipeline Assessment and Certification Program PACP
- Manhole Assesment and Cetification Program MACP
- Lateral Assessment and Certification Program LACP
- Confined Entry Rescue
- CPR with AED Training
- In compliance with OSHA
Inspections
Hibbard Inshore’s primary focus when it comes to their ROV inspection services is on choosing the proper equipment and inspection methods to obtain the highest quality data and video to meet each project’s specific needs. It is Hibbard Inshore’s goal to collect this data to allow their customers to make important and necessary decisions regarding maintenance and repair of their infrastructure.
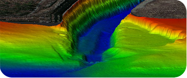
Marine Surveys
Hibbard Inshore offers the latest technologies and techniques for Marine Survey and accurate geopositioning. If you are in need of information about the water depth and accurate characterization of the bottom, Hibbard Inshore is able to perform bathymetric and side scan sonar surveys along with using the latest marine geophysical techniques such as sub-bottom profiling, marine magnetometer surveys, and marine electromagnetic (EM) surveys to penetrate the subsurface or measure the presence of objects that may be buried beneath bottom sediments.
Consulting
In cases where standard solutions may not be readily apparent or where an inspection, survey or construction solution needs to be developed to fit unique needs, Hibbard Inshore works with its clients to develop individualized, cost effective solutions.
Consulting
In cases where standard solutions may not be readily apparent or where an inspection, survey or construction solution needs to be developed to fit unique needs, Hibbard Inshore works with its clients to develop individualized, cost effective solutions. Whether the challenge is in flooded, partially flooded or dry conditions, Hibbard Inshore will help to develop project specifications and methods to achieve project objectives.
Request a Consultation
Fill out the form on our contact page to request a consultation from a Hibbard Inshore expert:




